Australian research ship discovers new volcano range 

Geophysicists aboard the CSIRO’s research ship RV Investigator have uncovered a massive underwater mountain range spanning a 20,000km2 region halfway between Tasmania and Antarctica. 

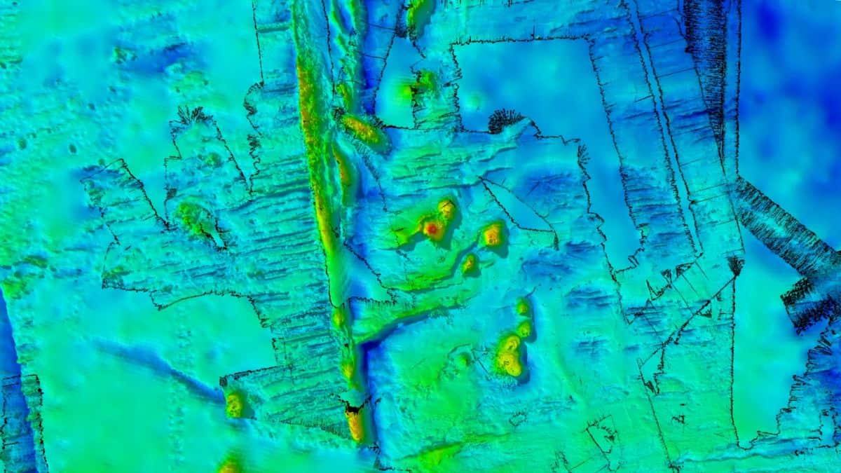
The range consists of 8 dormant volcanoes reaching heights of 1,500m above the seafloor. 

These mountains were formed during the last 20m years due to hotspot magmatism. Hotspots are regions in the planet’s mantle (just below the crust) from which plumes of magma rise and form new volcanic mounds. 

Blue and yellow 3d image of survey area with newly mapped seafloor features.
A 3D map of the ocean floor. Credit: CSIRO, handout

“Four of them [the volcanoes] are new discoveries, and we filled in details on two seamounts and a fault line ridge partially mapped on a previous voyage,” says Dr Chris Yule, a CSIRO geophysicist aboard the RV Investigator. 

“We now know the ridge, just west of the survey area, drops into a valley over a 1600-meter-high cliff.” 

The discovery came amid CSIRO studies to map heat flows from the Antarctic Circumpolar Current. 

Across five weeks the CSIRO has been scanning the ocean floor to understand how deep ocean currents affect melting Antarctic ice shelves. 

It’s hoped that the efforts of the current investigation will enable the CSIRO to form maps that indicate heat distribution across this part of the world.  

“Knowledge of the depth and shape of the sea floor is crucial for us to quantify the influence of undersea mountains, hills and valleys on the Antarctic Circumpolar Current and the leaking of heat toward Antarctica.” says Dr Helen Phillips, the co-chief scientist on the voyage.   

A satellite above the earth
An artist’s illustration of the SWOT satellite. Credit: NASA/CNES/Mira Productions

“Ultimately, we want to turn daily maps of ocean sea surface height from satellites into daily maps of the movement of heat in the Southern Ocean toward Antarctica. 

“This will help governments and communities plan how to adapt to rising sea levels and how fast they need to act.” 

Buy cosmos print magazine

Please login to favourite this article.